Utrudnienia drogowe w Tychach na Wszystkich Świętych – sprawdź, czego się spodziewać
Z okazji obchodów Dnia Wszystkich Świętych, które przypadają na 31 października oraz 1 listopada, w Tychach rozpoczną się działania mające na celu zapewnienie bezpieczeństwa pieszym oraz płynności ruchu drogowego. Akcja potrwa do 3 listopada. Tyscy policjanci apelują o ostrożną i rozsądną jazdę, dostosowywanie się do zmieniającego się oznakowaniaoraz przestrzeganie zasad bezpieczeństwa.
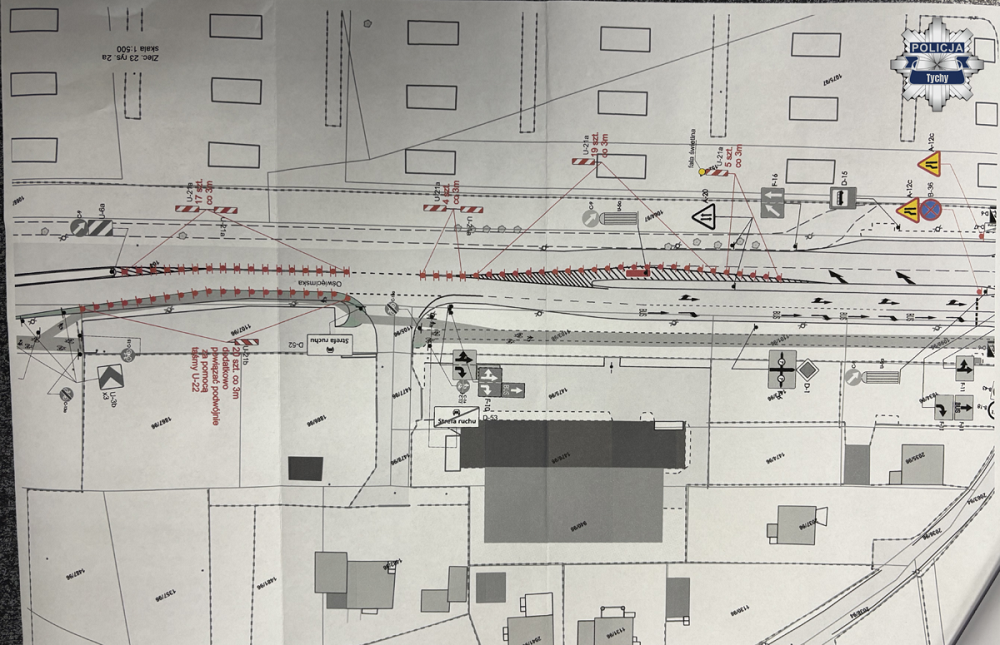
Zmieniona organizacja ruchu w Tychach
Na czas obchodów Dnia Wszystkich Świętych, mieszkańcy Tychów muszą liczyć się z licznymi utrudnieniami drogowymi. Poniżej przedstawiamy najważniejsze zmiany:
Ruch jednokierunkowy na ulicy Nowokościelnej: od 31 października od godz. 8:00 do 2 listopada do godz. 22:00,
Zakaz zatrzymywania się na ulicy Cmentarnej: 8 znaków B-36 ustawionych od 31 października do 3 listopada w godzinach od 8:00 do 22:00,
Zakaz zatrzymywania się na ulicy Oświęcimskiej (po północnej stronie) – dwa znaki B-36 z tabliczką „Nie dotyczy autobusów ZTM” – od 31 października do 3 listopada od godz. 8:00 do 22:00,
Zakaz zatrzymywania się na południowej jezdni ul. Oświęcimskiej – 5 znaków B-36 od 31 października do 3 listopada od godz. 8:00 do 22:00,
TAXI na parkingu przy cmentarzu centralnym: znak D-19 z tabliczką „4 stanowiska” w dniach od 31 października do 3 listopada od godz. 8:00 do 22:00,
Zakaz skrętu w lewo na ul. Oświęcimskiej przed skrzyżowaniem z ul. Bratków: od 31 października do 3 listopada od godz. 8:00 do 22:00.
Wygrodzenie pasa na ul. Oświęcimskiej: od 31.10.2025 r. do 03.11.2025 r. od godz. 8:00 do 22:00.
Zmiany w sygnalizacji świetlnej i oświetleniu
Sygnalizacja świetlna na skrzyżowaniu ul. Oświęcimskiej, Marzanny i Jaskrów w dniu 1 listopada zostanie przełączona na tryb migowy, aby usprawnić ruch pieszych i pojazdów,
Zmieniony harmonogram włączania i wyłączania oświetlenia ulicznego: od 25 października do 4 listopada oświetlenie będzie włączane godzinę wcześniej, a wyłączane godzinę później, w celu poprawy bezpieczeństwa pieszych i kierowców.
Apel o ostrożność i przestrzeganie zasad ruchu drogowego
Policja przypomina, aby dostosowywać się do oznakowań, szczególnie w miejscach z zakazem parkowania i jednokierunkowym ruchem. W okresie Dnia Wszystkich Świętych w Tychach należy spodziewać się wzmożonego ruchu, dlatego tak ważne jest, by wszyscy uczestnicy ruchu zachowali ostrożność i przestrzegali tymczasowych zmian organizacji ruchu.




























Dodaj komentarz